足立区西新井1丁目 売土地(売買 土地) | 足立区西新井 | この物件、買って大丈夫か相談 将来売れるか無料チェック ローンが不安な方はこちら

足立区西新井1丁目 売土地 | 足立区西新井の不動産物件

■大師前駅徒歩7分 ■更地 ■建築条件無 ■北側公道に面す ■売主の契約不適合責任免責
【土地】 NEW! オススメ
価格 1,180万円
東武伊勢崎・大師線 大師前駅 徒歩7分
スマホ表示
物件コード:036501-222413
所在地 坪単価 土地面積 建築条件
土地権利
東京都足立区西新井 127.7万円 30.55m2
(9.24坪)
なし
所有権

物件基本情報

物件種目 土地
物件名称 足立区西新井1丁目 売土地
所在地 東京都足立区西新井
交通
東武伊勢崎・大師線 大師前駅 徒歩7分
東武伊勢崎・大師線 西新井駅 徒歩15分
日暮里舎人ライナー 西新井大師西駅 徒歩19分
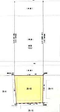
土地面積 30.55m2 (9.24坪)
建ぺい率/容積率 60% / 300%
地目 宅地
都市計画 市街化区域
用途地域 第一種住居地域
最適用途 住宅用地
学校 -
センチュリー21たばたコーポレーション
0120-360-201
携帯電話・PHSからは 03-3803-5377

紹介動画

周辺地図

地図を表示中...
ストリートビュー未対応エリアです。

物件詳細情報

物件用途 - 接道 公道 北 幅員15m
地勢 - 私道面積 -
土地面積基準 公簿 道路位置指定 -
借地条件 - 不適合接道 -
地代 - セットバック -
現況 更地 国土法届出 不要
引渡条件/時期 現況有姿 / 相談 取引態様 仲介
設備その他 -
特記事項 -
備考 ■大師前駅徒歩7分 ■更地 ■建築条件無 ■北側公道に面す ■売主の契約不適合責任免責
公開日 2026/02/06 広告有効期限 2026/03/09
担当者 長谷川 浩二
電話でお問い合わせ
センチュリー21たばたコーポレーション 店舗情報
[所在地] 東京都荒川区西日暮里2-39-7 GSハイム日暮里1F
[営業時間] 9:30~18:00 水曜日定休 GW・夏季・冬季休暇
[担当] 長谷川 浩二
0120-360-201
携帯電話・PHSからは 03-3803-5377

このページをご覧の方に
おすすめの不動産物件