台東区浅草6丁目 売土地(売買 土地) | 台東区浅草 | 荒川区周辺の不動産情報はセンチュリー21たばたコーポレーション 公式YouTubeチャンネル登録者1万人突破!

台東区浅草6丁目 売土地 | 台東区浅草の不動産物件

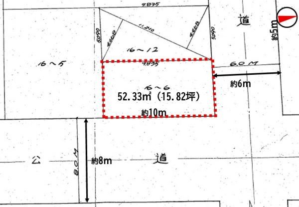
■浅草駅徒歩10分、複数路線利用可 ■東8m×北6mの公道面角地 ■建築条件無し
【土地】 NEW! オススメ
価格 13,000万円
東武伊勢崎・大師線 浅草駅 徒歩10分
スマホ表示
物件コード:036501-221946
所在地 坪単価 土地面積 建築条件
土地権利
東京都台東区浅草 821.7万円 52.33m2
(15.82坪)
なし
所有権

物件基本情報

物件種目 土地
物件名称 台東区浅草6丁目 売土地
所在地 東京都台東区浅草
交通
東武伊勢崎・大師線 浅草駅 徒歩10分
東京地下鉄銀座線 浅草駅 徒歩12分
つくばエクスプレス 浅草駅 徒歩12分
東京都浅草線 浅草駅 徒歩12分
土地面積 52.33m2 (15.82坪)
建ぺい率/容積率 80% / 400%
地目 宅地
都市計画 市街化区域
用途地域 商業地域
最適用途 住宅用地
学校 -
設備・条件
  • ガス:都市ガス
  • 汚水:公共下水
  • 水道:公営水道
  • 雑排水:公共下水
センチュリー21たばたコーポレーション
0120-360-201
携帯電話・PHSからは 03-3803-5377

紹介動画

画像・写真

周辺地図

地図を表示中...
ストリートビュー未対応エリアです。

物件詳細情報

物件用途 - 接道 公道 東 幅員8m
公道 北 幅員6m
地勢 - 私道面積 -
土地面積基準 公簿 道路位置指定 -
借地条件 - 不適合接道 -
地代 - セットバック -
現況 上物有 国土法届出 不要
引渡条件/時期 現況有姿 / 相談 取引態様 仲介
設備その他 -
特記事項 -
備考 ■浅草駅徒歩10分、複数路線利用可 ■東8m×北6mの公道面角地 ■建築条件無し
公開日 2025/11/20 広告有効期限 2025/12/21
担当者 長谷川 浩二
電話でお問い合わせ
センチュリー21たばたコーポレーション 店舗情報
[所在地] 東京都荒川区西日暮里2-39-7 GSハイム日暮里1F
[営業時間] 9:30~18:00 水曜日定休 GW・夏季・冬季休暇
[担当] 長谷川 浩二
0120-360-201
携帯電話・PHSからは 03-3803-5377