足立区竹の塚5丁目 売土地(売買 土地) | 足立区竹の塚 | 荒川区周辺の不動産情報はセンチュリー21たばたコーポレーション 公式YouTubeチャンネル登録者1.4万人突破!

足立区竹の塚5丁目 売土地 | 足立区竹の塚の不動産物件

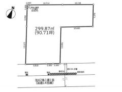
■竹ノ塚駅徒歩6分 ■建築条件無 ●確定測量済 ■西側約15m巾公道に面す ■通勤、買物便利な好立地
【土地】 NEW! オススメ
価格 19,800万円
東武伊勢崎・大師線 竹ノ塚駅 徒歩6分
スマホ表示
物件コード:036501-220935
所在地 坪単価 土地面積 建築条件
土地権利
東京都足立区竹の塚 240.2万円 272.56m2
(82.44坪)
なし
所有権

物件基本情報

物件種目 土地
物件名称 足立区竹の塚5丁目 売土地
所在地 東京都足立区竹の塚
交通
東武伊勢崎・大師線 竹ノ塚駅 徒歩6分
土地面積 272.56m2 (82.44坪)
建ぺい率/容積率 80% / 300%
地目 宅地
都市計画 市街化区域
用途地域 近隣商業地域
最適用途 住宅用地
学校 渕江小学校 / 渕江中学校
設備・条件
  • ガス:都市ガス
  • 汚水:公共下水
  • 水道:公営水道
  • 雑排水:公共下水
センチュリー21たばたコーポレーション
0120-360-201
携帯電話・PHSからは 03-3803-5377

紹介動画

周辺地図

地図を表示中...
ストリートビュー未対応エリアです。

物件詳細情報

物件用途 - 接道 公道 西 幅員15m (接面13.6m)
地勢 - 私道面積 -
土地面積基準 公簿 道路位置指定 -
借地条件 - 不適合接道 -
地代 - セットバック -
現況 上物有 国土法届出 不要
引渡条件/時期 現況有姿 / 相談 取引態様 仲介
設備その他 -
特記事項 -
備考 ■竹ノ塚駅徒歩6分 ■建築条件無 ■西側約15m巾公道に面す ■通勤、買物便利な好立地
公開日 2026/01/13 広告有効期限 2026/02/13
担当者 長谷川 浩二
電話でお問い合わせ
センチュリー21たばたコーポレーション 店舗情報
[所在地] 東京都荒川区西日暮里2-39-7 GSハイム日暮里1F
[営業時間] 9:30~18:00 水曜日定休 GW・夏季・冬季休暇
[担当] 長谷川 浩二
0120-360-201
携帯電話・PHSからは 03-3803-5377